项目名称: | 郑州高新区数字文化创意产业基地项目 |
公示公告类型: | 其他 |
建设/用地单位: | 郑州西美云智数据有限公司 |
用地类别: | 城市建设用地 |
用地位置: | 高新区青梅街南、红杉路东 |
公示期限: | 10个工作日 |
公示日期: | 2026年3月18日 |
截止日期: | 2026年3月31日 |
经办处室单位: | 郑州市自然资源和规划局高新分局 |
经办人: | 王浩、麻琳 |
咨询电话: | 0371-67998510 |
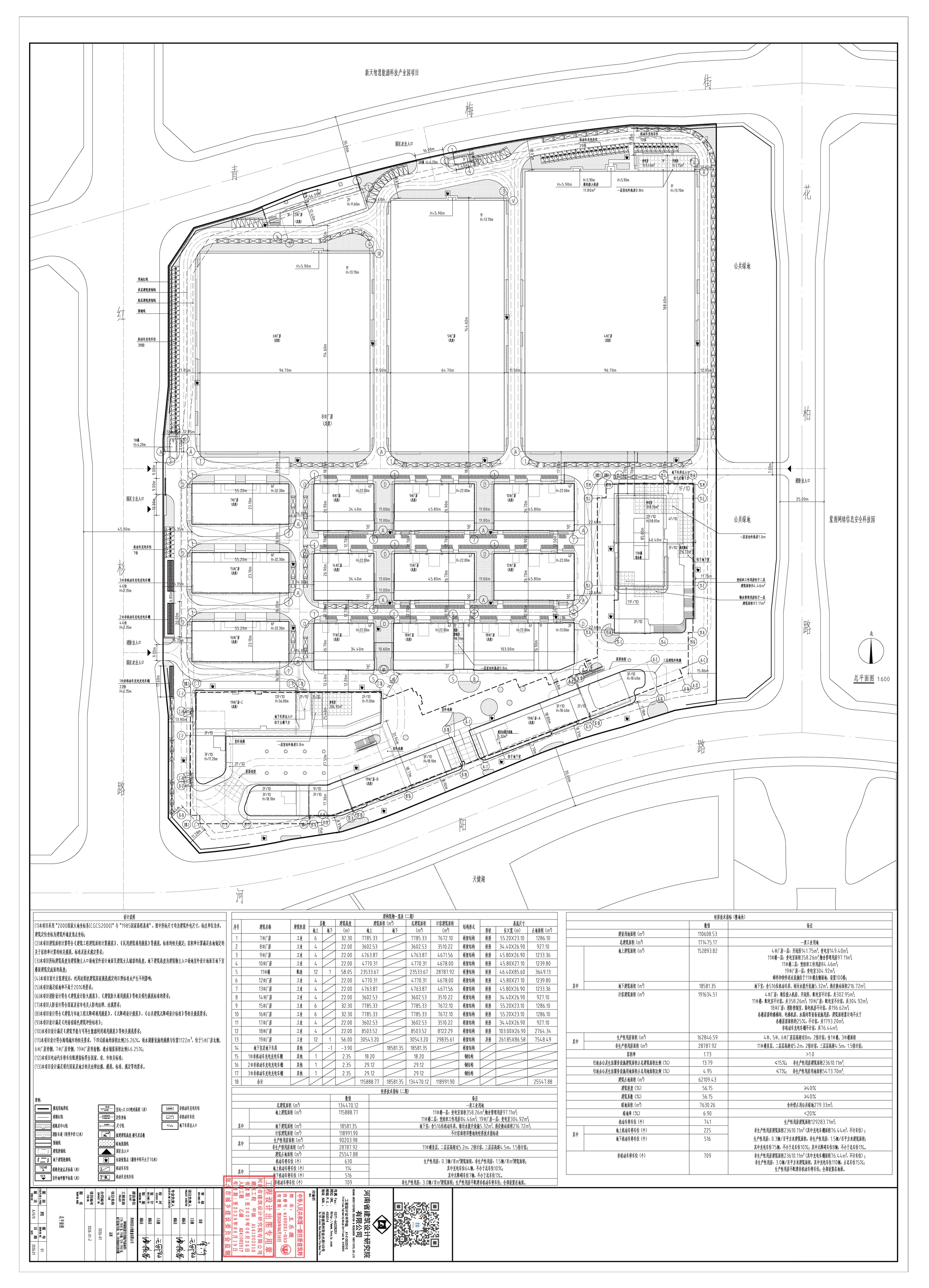
调整内容: | 本次主要调整总平面设计方案,调整内容如下: 1. 调整前总建筑面积为171440.00㎡;调整后总建筑面积为171475.17㎡; 2. 调整前容积率1.75,调整后容积率1.73; 3. 调整前建筑密度57.88%,调整后建筑密度56.15%; 4. 调整前绿地率11.25%,调整后绿地率6.90%; 5. 调整前建筑基底总面积64025.00㎡,调整后建筑基底总面积62109.43㎡; 6. 调整前变电室建筑面积709.40㎡,调整后建筑面积812.58㎡; 7. 调整前物业管理建筑面积95.00㎡,调整后建筑面积97.11㎡;调整前党组织工作用房建筑面积71㎡,调整后建筑面积84.46㎡; 8. 调整前雨污水提升设施建筑面积10㎡,调整后建筑面积5.32㎡;调整前热交换站建筑面积200㎡,调整后建筑面积216.72㎡; 9. 调整前地下室机动车库含车位521位,调整后地下室机动车库含车位516;调整前地上机动车位220位,调整后地上机动车位225位;调整前非机动车充电车位107辆,调整后非机动车充电车位110辆; 10. 调整前11#楼建筑东侧距用地红线距离11.96m,调整后11.76m;调整前11#楼建筑西侧距西侧建筑距离22.70m,调整后22.6m;调整前11#楼建筑北侧距北侧建筑距离18.0m,调整后17.9m;调整前11#楼建筑±0.000绝对高程111.800,调整后112.00;调整前11#楼建筑高度由59.60m,调整后58.05m; 11. 调整前19#厂房建筑西侧距用地红线距离14.5m,调整后13.9m;调整前19#厂房建筑南侧距用地红线距离8.55m,调整后7.77m;调整前19#厂房建筑高度58.40m,调整后56.00m; 12. 调整前地下车库轮廓退南侧用地红线7.26m,调整后7.15m;调整前地下车库轮廓退东南侧用地红线13.16m,调整后15.86m;调整前地下车库轮廓退西南侧用地红线7.39m,调整后10.44m; |
备注 | 其他调整内容及未尽事项,详见公示图纸。 |
附图: | 调整前总平面图、调整后总平面图、调整前鸟瞰图、调整后鸟瞰图 |
附加说明: | 查询详细内容,请出示身份证明,到我局办理相关手续后查询。依据《城乡规划法》、《行政许可法》等有关法律法规,特此公示。如有意见和建议,请于公示时间内书面向我局反馈。 |
调整前总平面图:

调整后总平面图:

调整前鸟瞰图:

调整后鸟瞰图:

效果图仅展示本地块,周边地块仅供参考。