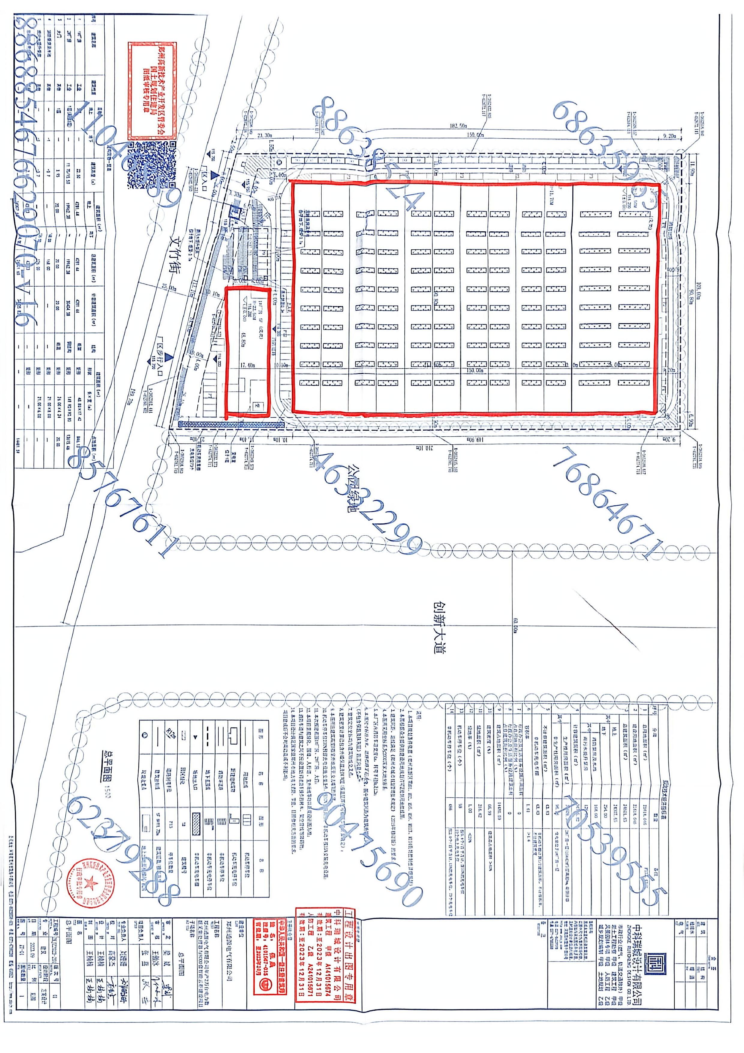
项目名称: | 年产2万台电力数据采集处理器与8000套智能云柜建设项目总平面图方案调整 |
公示公告类型: | 其他 |
建设/用地单位: | 郑州通源电气有限公司 |
用地类别: | 城市建设用地 |
用地位置: | 高新区创新大道西、文竹街北 |
公示期限: | 10个工作日 |
公示日期: | 2026年3月25日 |
截止日期: | 2026年4月8日 |
经办处室单位: | 郑州市自然资源和规划局高新分局 |
经办人: | 蒋振明 |
咨询电话: | 0371-67998510 |
调整内容: | 本次主要调整总平面设计方案,调整内容如下: 1、修改前总建筑面积24601.65㎡,修改后总建筑面积25288.25㎡。 2、新建3#厂房5层,686.60㎡。 3、修改前容积率1.61,修改后容积率1.64。 4、修改前建筑密度66.99%,修改后建筑密度67.63%。 5、修改前机动车停车位98个,修改后机动车停车位100个。 6、该项目其他数据均与原审批一致,没有发生变化。
|
备注: | 其他调整内容及未尽事项,详见公示图纸。 |
附图: | 调整前总平图、调整前效果图、调整后总平图、调整后效果图 |
附加说明: | 查询详细内容,请出示身份证明,到我局办理相关手续后查询。依据《城乡规划法》、《行政许可法》等有关法律法规,特此公示。如有意见和建议,请于公示时间内向我局反馈。 |




效果图仅为展示本地块,周边地块仅供参考